我的位置: 上观号 > 上海嘉定 > 文章详情

嘉定这里将新建道路及桥梁→

转自:上海嘉定 2025-09-20 15:24:14

@嘉定的小伙伴

华亭镇将新建道路及桥梁

详见↓

建设单位(个人)

上海市嘉定区华亭镇人民政府

建设项目名称

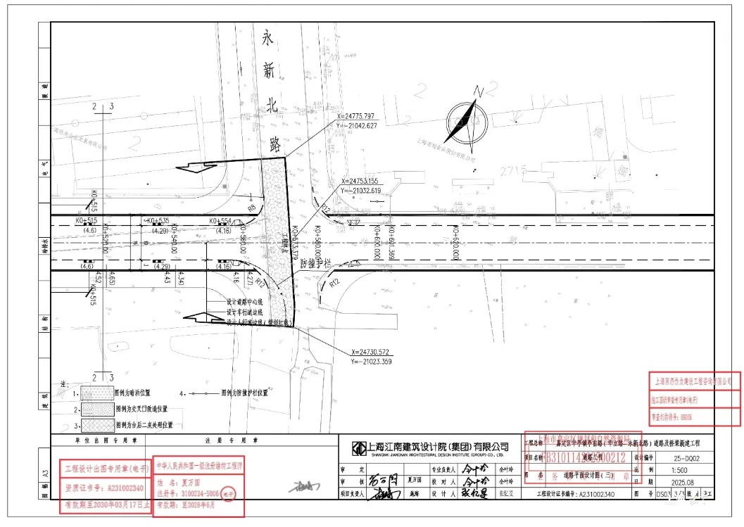
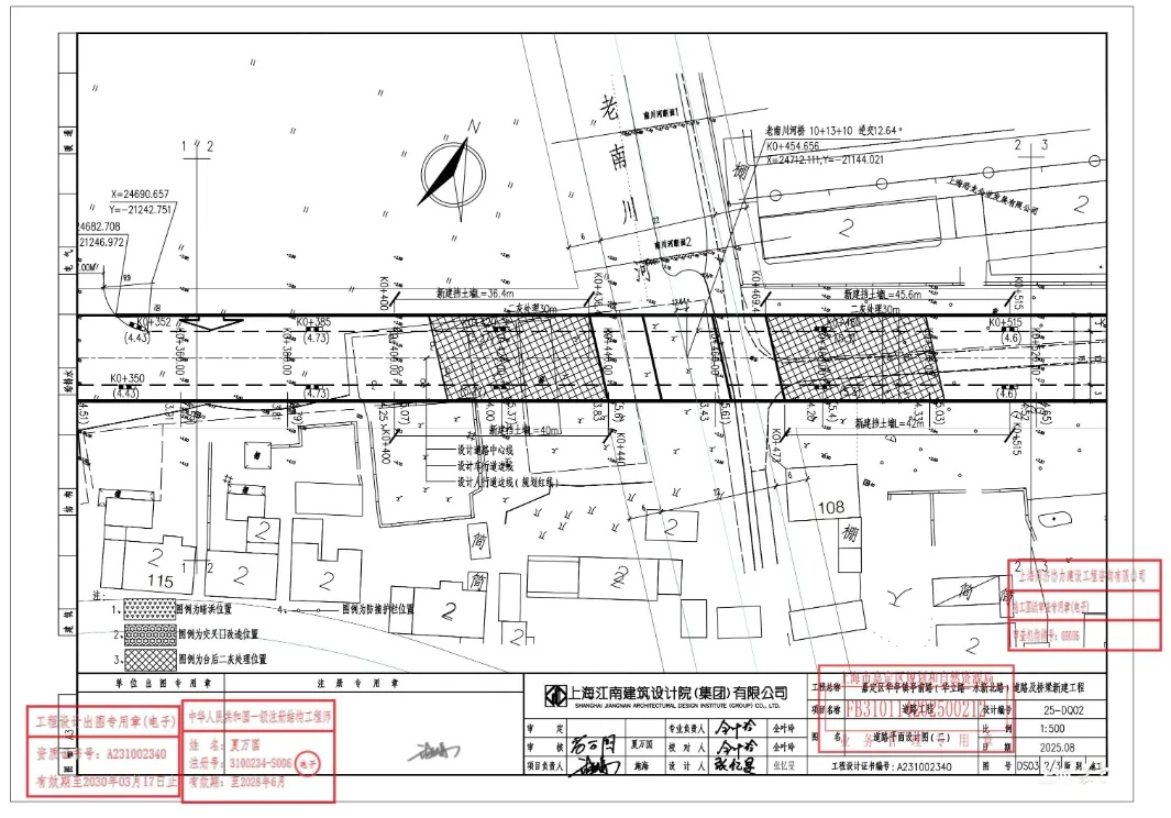
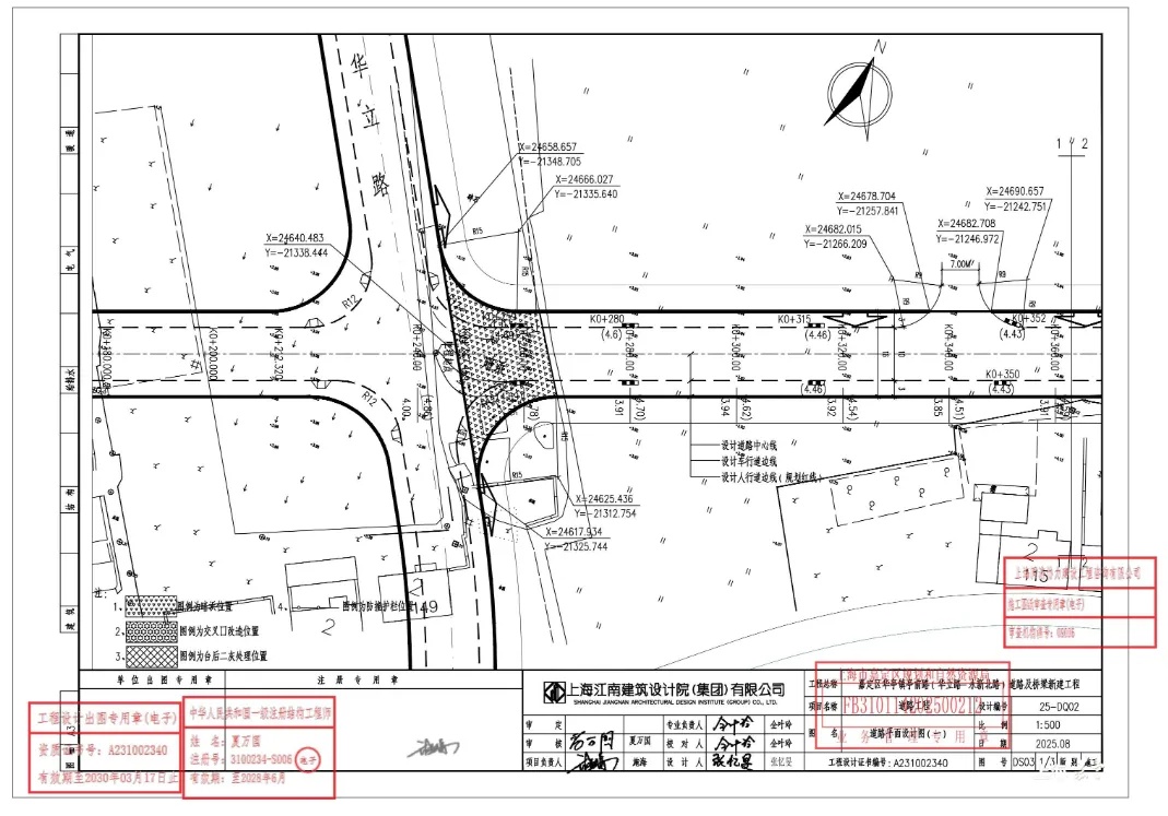
华亭镇亭前路(华立路-永新北路)道路

及桥梁新建工程项目

建设位置

东至永新北路、南至道路红线、

西至华立路、北至道路红线

建设规模

新建道路全长约325.92米、宽16米

新建桥梁1座,跨径10+13+10米