拾贰月·梧桐斑驳 吉光片羽

建筑类型 | 花园式里弄



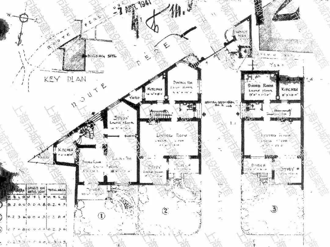
吉邨,即永福路131弄1-5号和133号,位于永福路东,复兴西路南。建于1940年,由公利工程司奚福泉建筑师设计,三层砖混结构,为适应地块,沿街133号建筑采用不规则造型,同时吉邨内5幢建筑均配有花园,与同时期建成的玫瑰别墅非常类似。

吉邨沿街建筑平面布局
来源:上海市城建档案馆

吉邨设计图纸公利工程司图签
来源:上海市城建档案馆

上世纪90年代吉邨沿街立面

吉邨沿街立面今貌
来源:尔冬强《上海装饰艺术派》
吉邨原始外立面为水泥砂浆粉刷材质,沿街立面带有装饰艺术派纹饰,局部竖直排布数朵螺旋花浮雕。建筑主入口均采用内凹结构,以沿街入口的双弧面内凹入口最为特色,同时在主入口及立面窗间有横向凹槽线条装饰,室内木楼梯则最为简单无装饰的流线形式。吉邨具备抛弃过多装饰、横向带状窗、非对称式布局、平屋顶、转角窗的特点,是奚福泉尝试向现代建筑靠近的作品。

吉邨立面浮雕装饰


吉邨的内凹入口及横向装饰线条
奚福泉不仅是吉邨设计者,还有很大可能涉足地产开发,为该地块的投资开发者,建造完成后出售。申报在1941年8月、9月曾连续刊登吉邨售楼广告。

吉邨售房广告
《申报》1941年8月
根据历史图纸可知,参与吉邨设计的还有建筑师沈恬,同时期建成的玫瑰别墅也有建筑师沈恬的参与。沈恬和奚福泉都是浦东川沙人氏,一直追随奚福泉从事建筑设计,直至在上海轻工业设计院退休。

奚福泉与沈恬简介
来源:《上海高级专家名录 (第二卷)》 1993
奚福泉1922年赴德留学,1923年转入达姆斯塔特工业大学建筑系学习,1927年进入柏林工业大学并于1929年取得工学博士学位,博士导师是著名德国建筑师、汉学家、中国艺术史学者恩斯特·伯施曼,是第一位在德国取得工学博士学术头衔的中国建筑师。奚福泉职业生涯后期的作品深受德国现代主义建筑影响,是具有代表性的中国现代主义建筑师。奚福泉在建筑作品中反映了同时代强烈的理性精神,关注功能与形式的关系,结构与空间的关系,历史与更新的关系,流线与界面的关系,在第一代中国建筑师探索中国现代建筑的过程中留下重要轨迹。

奚福泉职业生涯介绍
来源:《近代哲匠录》
回到本系列“门上繁花”的主题,奚福泉在现代主义建筑中,尤其喜好使用门上铁艺进行局部点缀,他善用曲线和直线进行流线组织,组成各类灵动的中心对称图案,图案各异但风格相近,形成了强烈的个人风格倾向特征。

虹桥疗养院铁艺图案
奚福泉设计于1933年

浦东同乡会大厦室内流线装饰图案
奚福泉设计于1934年

吉邨门上铁艺
奚福泉设计于1941年

玫瑰别墅门上铁艺
奚福泉设计于1940年

梅泉别墅门上铁艺
奚福泉设计于1933年

金氏宅门上铁艺
启明建筑事务所设计于1934年

康绥公寓门上铁艺
(室外)

康绥公寓门上铁艺
(室内)
奚福泉设计于1932年(存疑)


武康路4号门上铁艺
奚福泉设计于1940年
局部中心对称图案,正面直线,侧面局部曲线特征
其他奚福泉铁艺设计作品(部分存疑)
<< 左右滑动查看更多 >>
建筑从“古典”过渡到“现代”,铁、钢、水泥等新材料也逐渐取代木、砂、石 等旧材料,门上铁艺见微知著,恰为面向进步与自由,改变过往与既有,以及对艺术精神向往的现代主义思潮见证者。
[1] 《上海高级专家名录 (第二卷)》刘振元主编.1993.
[2]《儋石之储-中国第一代建筑师奚福泉(1902—1983年).刘刊.2019.
[3]《奚福泉_简单又平实的设计姿态,契合于“现代建筑”》.黄元炤.2015.
[4]《中国现代主义(上)_现代主义在中国的实践》.黄元炤.2016.
[5]《近代哲匠录:中国近代重要建筑师、建筑事务所名录》.赖德霖主编.2006.
[6]《上海装饰艺术派》.尔冬强.2006.
文 / 施佳宇考证撰写