
“三林滨江南片区(西区)初期雨水调蓄池建设工程”规划设计方案正在公示,来看详情↓
建设单位:上海地产三林滨江生态建设有限公司
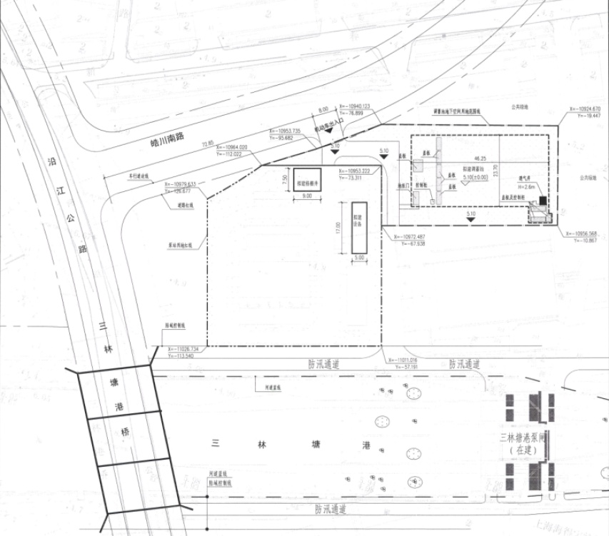
建设工程名称:三林滨江南片区(西区)初期雨水调蓄池建设工程
建设项目地址:上海市浦东新区三林镇
建设用地范围:东至23-01地块公共绿地、南至塘港泵闸管理用房、西至雨水泵站、北至皓川南路
项目公示图

建设用地性质:G1公共绿地(地表)
建设工程性质:市政设施
建设内容:该地块拟建地下调蓄池一座,调蓄池容积4200立方米。
主要经济技术指标:
用地面积:2236.39平方米
总建筑面积:0
容积率:0
建筑密度:0
绿地率:81.55%
意见反馈
公示期限:2024年7月15日-7月24日
收集意见截止日期:2024年7月31日,信件以寄出邮戳为准。
本次公示采取网上和现场同步公示的方式。
现场公示地址:项目建设基地现场围墙等附近
公示网址:www.pudong.gov.cn/gtj
本次公示采取书面信函方式听取公众意见,收集意见的信函请寄:浦东新区锦安东路475号新区规划资源局,邮编:201204,请在信函封面上注明“项目方案公示意见”。也可到项目所在地相关镇、街道反映。